PRZEBUDUJĄ JEDNO Z NAJWAŻNIEJSZYCH ROND
Rada Miasta podjęła decyzję o przeznaczeniu dodatkowych środków na poprawę funkcjonalności układu komunikacyjnego w rejonie ronda Rataje.
Poznańskie Inwestycje Miejskie ogłosiły przetarg w formule "zaprojektuj i wybuduj" na korektę funkcjonowania układu komunikacyjnego w rejonie Ronda Rataje. Do przetargu wpłynęły dwie oferty. Obie przekroczyły kwotę, którą Poznańskie Inwestycje Miejskie zamierzały przeznaczyć na tę inwestycje.
Obecnie różnice pomiędzy wartościami wstępnie ustalonymi przez inwestorów a ceną ofertową mogą różnić się nawet o kilkadziesiąt procent. Aktualna koniunktura na rynku budowlanym znacząco wpływa na wysokość ofert składanych w postępowaniach przetargowych. To od inwestora, czyli w tym przypadku Miasta, należy ocena możliwości budżetowych i ostateczna decyzja co do wyboru najkorzystniejszej oferty w postępowaniach przetargowych.
Rada Miasta zdecydowała się zwiększyć środki w Wieloletniej Prognozie Finansowej o ponad 48,5 mln zł. Dzięki temu w latach 2020-2021 toczyć się będą prace budowlane na rondzie Rataje i w jego okolicy. Na wykonanie zamówienia przewidziano trzy lata od dnia podpisania umowy.
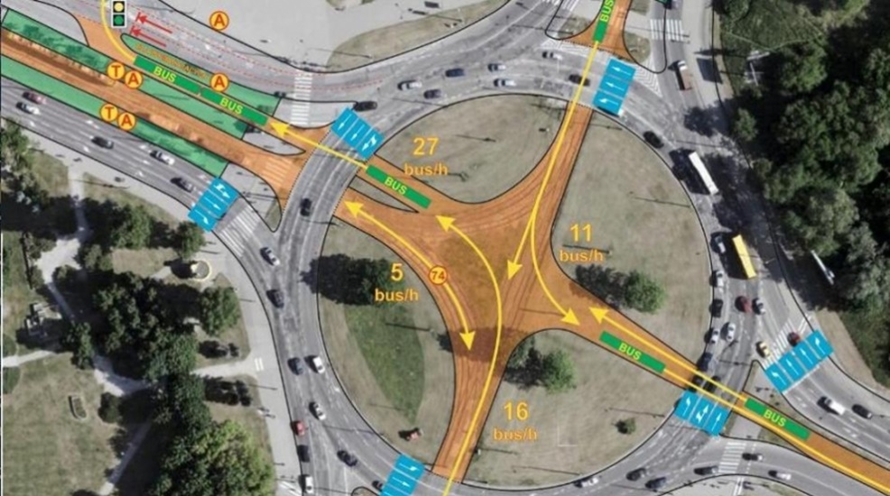
Planowany zakres prac obejmuje zaprojektowanie a następnie rozbudowę i przebudowę istniejącego układu torowo-drogowego, w tym przebudowę i budowę nowej konstrukcji nawierzchni jezdni oraz wydzielonego torowiska tramwajowo-autobusowego wzdłuż ulic Bolesława Krzywoustego, Jana Pawła II i Ludwika Zamenhofa.
Inwestycja obejmie swoim zakresem również budowę odwodnienia torowiska, przebudowę i rozbudowę oświetlenia drogowego, monitoringu wizyjnego, kanalizacji teletechnicznej i sygnalizacji świetlnej oraz budowę i przebudowę odwodnienia drogi. Wprowadzone zostaną zmiany w dotychczas funkcjonującej organizacji ruchu oraz zbudowana zostanie infrastruktura towarzysząca z zakresu zieleni i małej architektury.
Inwestycja obejmie swoim zakresem również budowę odwodnienia torowiska, przebudowę i rozbudowę oświetlenia drogowego, monitoringu wizyjnego, kanalizacji teletechnicznej i sygnalizacji świetlnej oraz budowę i przebudowę odwodnienia drogi. Wprowadzone zostaną zmiany w dotychczas funkcjonującej organizacji ruchu oraz zbudowana zostanie infrastruktura towarzysząca z zakresu zieleni i małej architektury.
Inwestycja uzyskała dofinansowanie ze środków Unii Europejskiej, w ramach Wielkopolskiego Regionalnego Programu Operacyjnego na lata 2014-2020 "Wspieranie strategii niskoemisyjnych, w tym mobilności miejskiej w ramach ZIT dla MOF Poznania". W ramach tego dofinansowania Poznań kupi 15 elektrycznych autobusów.
(źródło: poznan.pl)
